Unde slujesc ierarhii în această duminică - 1 oră în urmă
TV Tokyo promovează Maramureșul: filmări în sate tradiționale pentru milioane de telespectatori japonezi - 1 oră în urmă
Elevii maramureșeni au obținut premii și la Olimpiada Națională de Limba Germană Modernă - 1 oră în urmă
Maramureșul intră într-o perioadă în care apa devine o resursă tot mai vulnerabilă - 2 ore în urmă
Sighetu Marmației, eveniment special pe 29 aprilie 2026 - 3 ore în urmă
25 aprilie Ziua Astronomiei: privire din spațiu asupra Antarcticii - 3 ore în urmă
Astăzi, 25 aprilie, se împlinesc 125 de ani de la nașterea borșeanului Gavrilă Mihali Ștrifundă - 3 ore în urmă
Prognoza meteo Maramureș, sâmbătă 25 aprilie 2026 - 11 ore în urmă
Șef nou la FRH. Bogdan Voina: „Este datoria mea să îi fac mândri pe foștii campioni mondiali” - 13 ore în urmă
Liga 4 – meciurile etapei a 4-a din play-off și ale rundei a doua din play-out - 14 ore în urmă
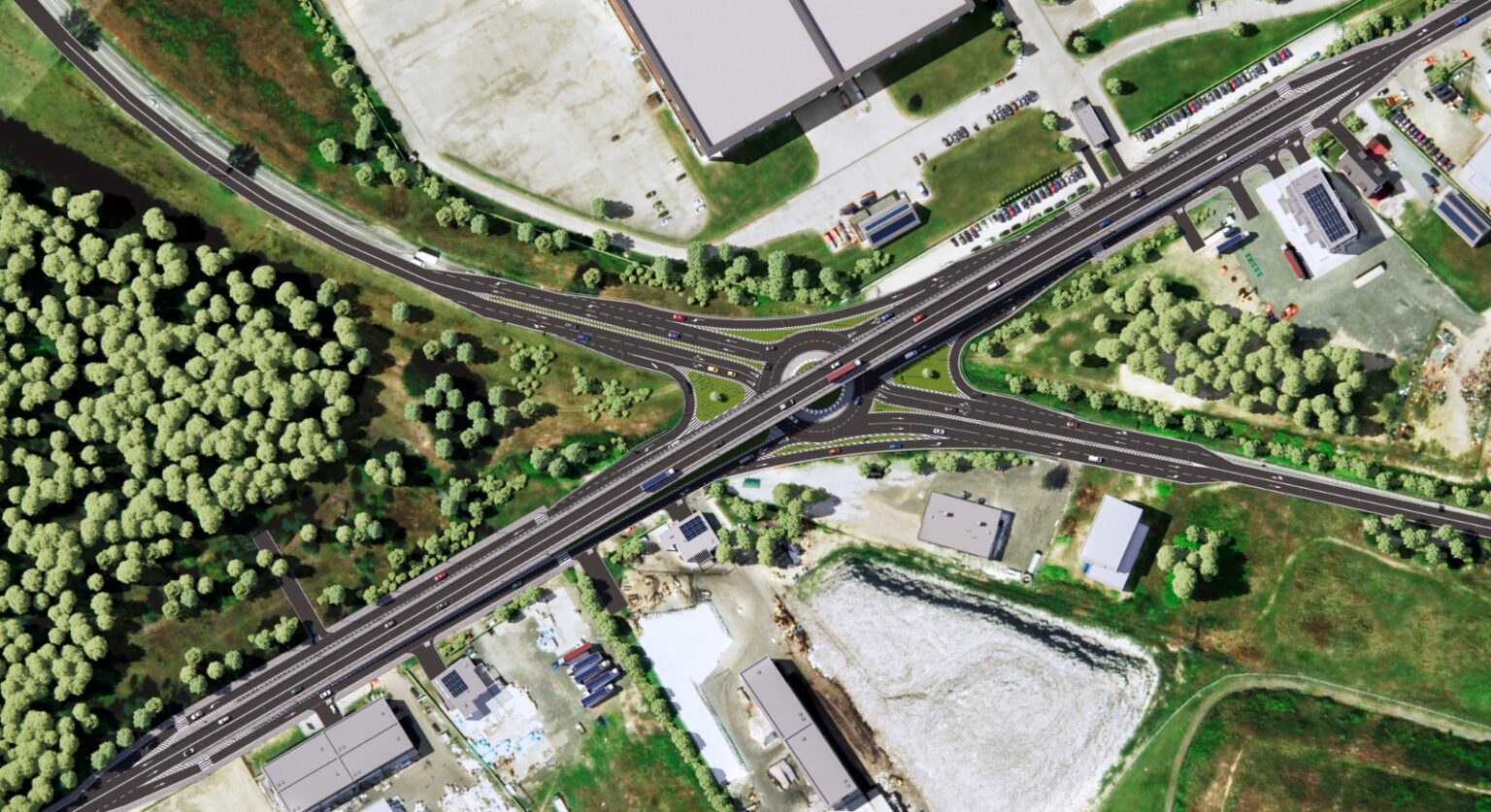
„PNRR: Fonduri pentru România modernă și reformată!“. Pasaj Italsofa (Baia Mare-Groși)
COMPANIA NAȚIONALĂ DE ADMINISTRARE A INFRASTRUCTURII RUTIERE S.A., în parteneriat cu Județul Maramureș prin Consiliul Județean Maramureș și U.A.T. Baia Mare, în calitate de Beneficiari al finanțării, și MINISTERUL TRANSPORTURILOR ȘI INFRASTRUCURII, în calitate de coordonator de reforme și/sau investiții pentru Planul național de redresare si reziliență, au convenit încheierea Contractului de Finanțare nr. 52/29.03.2024, finanțat prin Planul Național de Redresare și Reziliență Componenta 4 – Transport sustenabil, Reforma R1 – Transport sustenabil, decarbonizare și siguranță rutieră/Investiția I3 – Dezvoltarea infrastructurii rutiere sustenabile pe rețeaua TEN-T, taxarea rutieră, managementul traficului și siguranța rutieră.
Obiectivul general al proiectului:
Realizarea unui pasaj pe drumul județean DJ 182B peste varianta ocolitoare a Municipiului Baia Mare în zona Italsofa.
Valoarea totală a proiectului este de 77.225.706,83 lei din care valoarea fondurilor europene aferente PNRR este de 18.318.692,41 lei, cofinanțarea națională reprezintă 46.673.698,29 lei și TVA aferent reprezintă 12.233.316,13 lei.
Obiectivele specifice ale proiectului:
- Realizarea unui pasaj rutier pe DJ 182B, peste varianta ocolitoare Baia Mare, amenajarea drumurilor de acces în/din DJ 182B și realizarea unui sens giratoriu pe varianta de ocolire la intersecția cu DJ 182B.
- Amenajarea intersecției în sens giratoriu-sub pasajul proiectat, este prevăzută amenajarea unui sens giratoriu pe Varianta de Ocolire Baia Mare cu două benzi de circulație pe calea inelară, prevăzută cu 6 ramuri, din care 2 principale, pe varianta de ocolire și 4 secundare pe bretelele pasajului rutier.
- Pod pe Varianta de Ocolire Baia Mare la km 5+110;
- Pod pe DJ 182B la km 3+870;
- Pod pe DJ 182B la km 3+617.
Durata proiectului: Contractul de finanțare începe de la data semnării acestuia de către toate părțile și încetează la momentul implementării, în integralitate și conform obligațiilor asumate, a obiectivelor proiectului, dar nu mai târziu de data de 31.12.2026.
Date de contact:
Cristian PISTOL, Director General CNAIR SA., fax: (+4 021) 312.09.84.
Gabriel Valer ZETEA, Președintele Consiliului Județean Maramureș, tel/fax: 0262.212.110
Ioan-Doru DĂNCUȘ, Primarul Municipiului Baia Mare, tel/fax: 0262.211.001













